County Land Use Services
Screws Newberry Springs

Neighboring property owners to solar plant
did received notice of modification.  But. . .

March 13, 2013

    Most Newberry Springs residents who have seen the size of the new solar structures being installed on Mountain View Road have been shocked by their massive size.  Under the original plan approved by the county, the structures were to be no higher than 7-feet from the ground.

    The new solar tracking photovoltaic panels will reach a height of just under 28 feet when in a full up-right position.

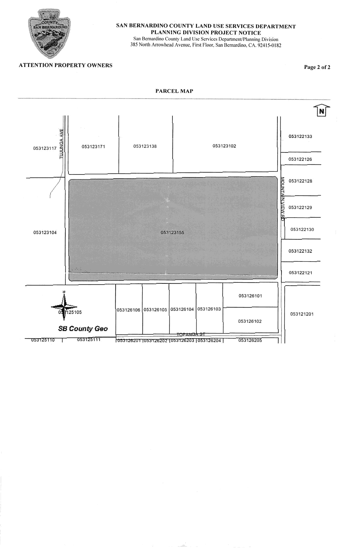
    Surprised residents have been asking, how did this happen.  Why weren't we notified.  The answer is that the owners of the properties surrounding the perimeter of the project, most of whom are absentee landowners, were notified of an application to modify the original permit that was acquired by Solutions for Utilities, Inc. (Mary Hoffman) on July 13, 2010.

    The property and building permit of Solutions for Utilities was sold by Mary Hoffman to German based Concentrix which was then later acquired by Soitec Solar of France.  Soitec's application for the Newberry site is under the name of Newberry Solar 1, LLC; and Soitec is installing its photovoltaic equipment developed and built by Concentrix.

    With its research still ongoing, the Newberry Springs Community Alliance has acquired a copy of what it believes is the notice for the drastic modification in the height.  Unfortunately, the notice appears to have been intentionally written by the county so as not to describe and inform Newberrians of the main purpose of the modification; or to alert and raise a concern over the project's increase of four-times the structure height.

    The county Land Use Services Department's project public notice states:

PROPOSAL

REVISION TO AN APPROVED SOLAR POWER GENERATING FACILITY (3 MEGAWATT) TO MODIFY THE PHOTOVOLTAIC TECHNOLOGY TO USE LESS EQUIPMENT WITH LESS LAND DISTURBANCE ON THE SAME 27 ACRE PORTION OF A 73 ACRE PARCEL.

    This strongly sounds like less.  Definitely not BIGGER and not more obstructiveness to visibility!

    This public notice only states a change in technology; "less equipment;" and "less land disturbance."  It states nothing about a modification to the originally approved structure height.

    It is even arguable that not less equipment is involved; only that it is being supported in the air by columns.

    This raises the issue as to whether this highly misleading and inadequate notice constitutes the necessary constructive notice required by law.  Do the neighboring residents now have a meritorious claim against the county?

And more...

    Troublesome is another Land Use document associated with the county's negative EIR declaration.  In the document, San Bernardino County CEQA Addendum To The Mitigated Negative Declaration, the county willy-nilly skips over the environmental impact assessments of concerns that appear to require assessment under an Environmental Impact Review.  No mention of an earthquake fault running through the property; and remarkably, in Table Two (below on bottom of this page), concern with sun glare reflecting off of the 7-foot metal frames that was in the original Hoffman application, was apparently resolved in the Soitec application by placing the photovoltaic panels high in the air to track the sun.  County slants and appraises everything as not having any significant environmental effect(s); therefore, streamlining the county's self-serving interests in not having to handle, as the lead agency, an otherwise mandated EIR.  Page 4 of document. 


Newberry Solar 1 layout
Newberry Solar 1
Simply look at the sun glare in the photographs
(above) of a Soitec photovoltaic sun tracker. . .
then picture the glare from all of these at once.

      The County's verbiage pertaining to the aesthetics of the project reads more like a Carnival Cruise Line brochure than an objective site description.

      So many things appear to be mishandled by the county.  For instance, the column pedestals that are being buried in the ground to support the photovoltaic panels are reportedly being placed 15-feet deep; yet upon the future decommissioning of the project, the county is only requiring that the first 3-feet of the columns from the surface be removed.  That can be a massive savings to the project's owner; and a nightmare and hazard to an unsuspecting future landowner who might try to install a septic tank, trench sewer or utility lines, or grade the property.

      Why is the county bending over to accommodate the solar developer and not doing its job to protect the community and the safety of its citizens?


Documentation



      This highly biased and selective table by the county's Land Use Services Department, to promote the Concentrix equipment, represents pro-propaganda and some items do not reflect reality:

    •   Land Use - The new (Concentrix CPV) installation has fully graded and disturbed the land; and both proposals could have designated dual use of the excess land.

    •   Hazardous Material - The different (Concentrix CPV) technology still uses hazardous materials.

    •   Fire Access - Emergency access continues to be necessary.

    •   Vegetation - Still needs to be limited underneath the trackers for fire protection.

    •   Sun glare - The photovoltaic panels being raised and placed on Concentrix sun trackers greatly amplify the possibility of sun glint and glare over a far greater area than the original stationary low-to-the-ground proposal.  The original project had some reflection concerns from the frames; the new Concentrix designed installation will create glint and glare from massive upright photovoltaic panels that will act as mirrors and move.

      This table, and the supporting claims behind it, was used to spin antidotal evidence for the county to avoid having to perform a necessary EIR as the lead agency.


Click here to read, "Like,"
comment, or share on:
Newberry Springs

Follow us on Twitter and
be notified of new stories:
Newberry Springs Community Alliance
Home: http://NewberryInfo.com