Newberry Springs Solar Plant
Much More Than Promised !

March 8, 2013

The first few solar structures are erected.

Residents are livid over unannounced switch in project design.

      Community residents are horrified over the size of photovoltaic monoliths now being installed on elevated pedistals within their residential community.

      The photovoltaic project was originally approved by the county of San Bernardino to have a relatively low profile of six to seven feet from the ground that would have minimized the blighted visual impact of the project upon the community.

      The origins of the project was conceived after Mary Hoffman of Vista, California inherited an 80-acre parcel of land at 32952 Mountain View Road in Newberry Springs.  Deliberating upon what to do with the parcel, in 2009 she decided to install a solar farm and called her company Solutions for Utilities.  Living over a hundred and sixty miles away by road, the desert destruction and visual impact of the project wouldn't bother her.

      Hoffman acquire approval from the county to build a 27-acre solar facility upon the property.

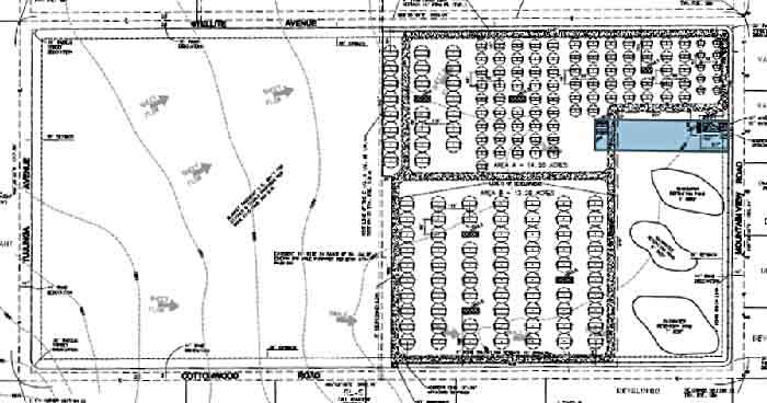
Diagram of array layout on 27 acres.  This represents the first phase of a possible two.
Cottonwood Road is on the bottom and Mountain View Road is on the right.

      A problem quickly arose in obtaining a power purchase agreement from Edison.  Edison insisted upon a contractual clause to escape its obligation if governmental rules or regulations changed in the ever evolving world of alternative energy production.  With such a clause, Hoffman could not acquire a construction loan.

      The financial delay forced her to miss a deadline for partial funding under the American Recovery and Reinvestment Act that she was depending upon.  At least 5 percent of her project had to have been built by the end of 2010.

      Hoffman then sold her project to Concentrix Solar of Freiburg, Germany in October 2010.  The company has a California office in La Jolla.  Concentrix was then acquired by Soitec.

      The new applicant under the permit, Newberry Solar I, LLC, then switched the proposed technology of the project and, unknown to the local community, secured a change in the conditions of the permit.  The vast majority of the mailed notices to adjacent property owners went to absentee landowners; the community and CSD were not notified except by publication notice in a far off newspaper.

      The change in the height above ground from Hoffman's plan of 7 feet has gone to Soitec's equipment of 27.5 feet above the ground, approximately 3 stories tall.  The photovoltaic structures will be in three sizes.  The Pappa bear panels will be 48-feet by 24-feet.  In a full upright position, the panels will be held about 3-feet off the ground by a pedistal.

      Installation of the project should be complete by June 2013.


Click here to read, "Like,"
comment, or share on:
Newberry Springs

Follow us on Twitter and
be notified of new stories:
Newberry Springs Community Alliance

Home: http://NewberryInfo.com